Stope Reconciliation - Results
To access this screen:
-
Stope Reconciliation ribbon >> Results.
This panel displays the results of the most recently run stope reconciliation. Review these values to check for obvious issues with excessive underbreak/overbreak, then view a more detailed report in Microsoft Excel (which must be installed).
The results displayed depend on the selected reconciliation method, as detailed below.
The Summary displays Volume and Mass results for the "original" solids, regardless of whether stope development wireframes are available for depletion. This data is shown on the Stope Total tab:
- Design: the volume and mass of the design stope wireframe.
- Actual: the volume and mass of the CMS wireframe
- Planned and Mined: the volume and mass of material extracted as planned.
- Overbreak: the percentage of mined-not-planned volume as a proportion of the design volume. Non-trivial percentages may need investigation.
- Underbreak: the percentage of planned-not-mined volume as a proportion of the design volume. Non-trivial percentages may need investigation.
If one or more development wireframes are specified, another tab appears - Excluding Development. This shows the volume and mass results for the same categories as above, but this time for depleted solids (with the development volume removed).
If the Model Depletion method is used, the Volume Checks section summarizes volume differences between either the survey or design wireframe and the corresponding volume indicated by the model. This is useful to check if significant volume differences exist, possibly indicating an excavation, design or geological model problem (for example, it may be necessary to increase the resolution of the model by subcelling using cell divisors.
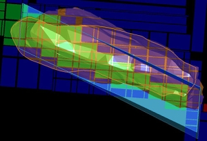
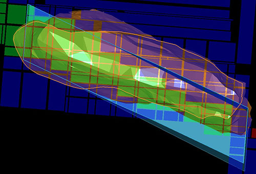
To view the active scenario's data, click Load all input and output files to load them into the primary 3D window. This can often highlight design compliance issues.
Reconciliation model data and overlaid CMS and design wireframe data (from MSO)
If Microsoft Excel is installed on the local system, you can click Show Excel Report for a detailed breakdown of reconciliation results:
- Recon Report: summary information for the mined stope, followed by tonnes and grades are listed in the Detailed Summary section, including the following zonal reports by Material, Tonnes, Volume, Density and Grade:
- Stope Planned - Mined
- Stope Not Planned - Mined Overbreak
- Stope Planned - Not Mined Underbreak
- Stope Overbreak and Underbreak Area Summary: by location, overbreak and underbreak results per material, plus tonnes, volume and grades
An example of a stope reconciliation report exported to Excel.
Related topics and activities
